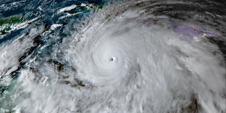
Banorët e ishujve të Karaibeve janë në pritje të Uraganit Melissa, i cili është shpallur stuhia më e fortë e vitit 2025. Sipas Qendrës Kombëtare të Uraganeve të SHBA-së, Melissa pritet të sjellë përmbytje katastrofike në Xhamajkë dhe reshje të mëdha në Kuba dhe Bahamas, ku parashikohen 80 centimetra shi. Uragani, me erëra që arrijnë deri në 280 kilometra në orë, do të godasë Xhamajkën sot pasdite.
Ekipet e emergjencës kanë filluar të përballen me pasojat paraprake, duke raportuar për pemë të rrëzuara dhe rrëshqitje dheu. Ministri i Transportit, Robert Morgan, konfirmoi se pothuajse janë rihapur të gjitha rrugët e bllokuara. Megjithatë, ka tre viktima deri tani, përfshirë një burrë që u rrëmbye nga uji, një tjetër që u plagos nga një pemë dhe një i tretë që humbi jetën gjatë përgatitjeve për stuhinë. Të gjitha këto ndodhen përpara se uragani të arrijë në ishull.
Kryeministri Andrew Holness shpalli gjendje të jashtëzakonshme dhe u bëri thirrje banorëve të respektojnë urdhrat e evakuimit. Rreth 900 strehimore janë hapur, veçanërisht në zonat më të rrezikuara si Kingston, St. Thomas dhe St. Catherine. Autoritetet paralajmërojnë për rrezik të ndjeshëm nga përmbytjet dhe rrëshqitjet e dheut, sidomos në zonat malore.
Disa banorë, megjithëse në rrezik, kanë zgjedhur të mos evakuohen për shkak të përvojave të tire të këqija në strehimoret e mëparshme. Meteorologët theksojnë se stuhia do të zgjasë disa orë mbi ishull dhe mund të shkaktojë dëme të mëdha. Aeroportet dhe portet janë mbyllur, dhe fluturimet janë anuluar.
Uragani Melissa është uragani i tretë i Kategorisë 5 në sezonin e këtij viti dhe është një shembull i intensitetit në rritje të fenomeneve meteorologjike, të cilat lidhën me ndryshimet klimatike. Faktorët klimatikë, si temperatura në rritje të oqeanit, po e forcojnë shpejtësinë e cikloneve tropikale, duke i bërë uraganet më shkatërruese. Pas kalimit mbi Xhamajkë, Melissa pritet të godasë Kubën dhe të tjerë ishuj brenda 48 orëve të ardhshme.















